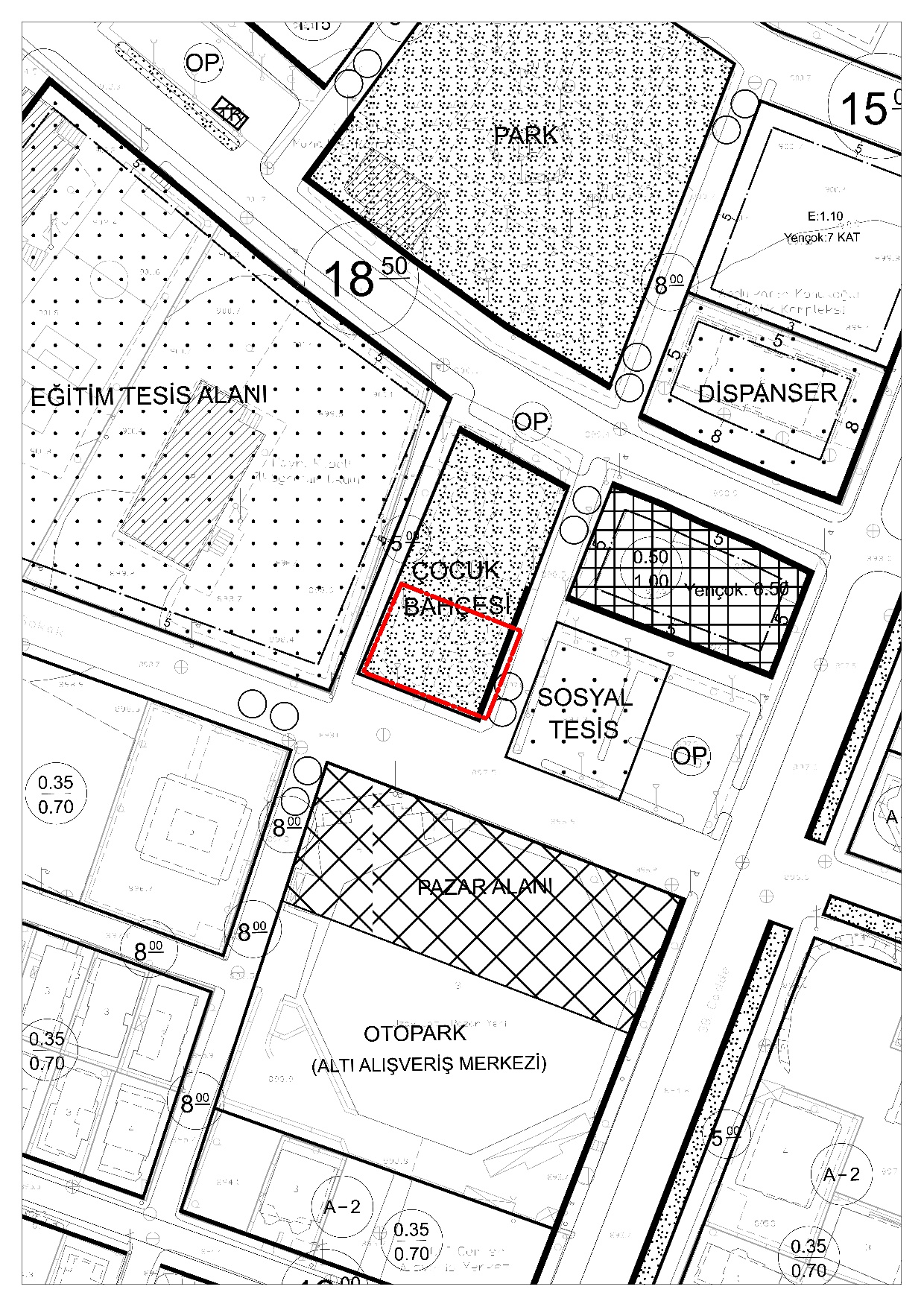
Güvenevler Mahallesi Belediye Hizmet Alanı (Sosyal Merkez) Uygulama İmar Planı Değişikliği
Plan Proje Duyurulari
- Beylerbeyi Mahallesi İmar Uygulaması
- Yaprak Mahallesi İmar Uygulaması
- Aktoprak Mahallesi İmar Uygulaması
- Belkıs Mahallesi İmar Uygulaması
- Eyüpsultan Mahallesi, Merveşehir Mahallesi ve Karacaahmet Mahallesi Uygulama İmar Planı Revizyonu
- 15 Temmuz Mahallesi Uygulama İmar Planı Değişikliği
- Selahattin Eyyübi Mahallesi Ticaret Alanı Uygulama İmar Planı Değişikliği
- 15 Temmuz Mahallesi Ada Kenarı ve İmar Yolu Düzenlemesi Uygulama İmar Planı Değişikliği
- Güvenevler Mahallesi Belediye Hizmet Alanı (Sosyal Merkez) Uygulama İmar Planı Değişikliği
- İbrahimli Mahallesi Uygulama İmar Planı Değişikliği
- Sancaktepe Mahallesi Uygulama İmar Planı Değişikliği
- İbrahimli Mahallesi Elektronik Haberleşme Altyapı Alanı (Baz İstasyonu) Uygulama İmar Planı Değişikliği
- Mücahitler Mahallesi Pazar Alanı Uygulama İmar Planı Değişikliği
- 29 Ekim Mahallesi Emniyet Hizmet Alanı (Karakol) Uygulama İmar Planı Değişikliği
- Umut Mahallesi Aile Sağlığı Merkezi Uygulama İmar Planı Değişikliği
- Sanayi Mahallesi Uygulama İmar Planı Değişikliği
- İlçemiz Muhtelif Mahallelerinde Trafo Alanı Uygulama İmar Planı Değişikliği
- İlçemiz Muhtelif Mahallelerinde Trafo Alanı Uygulama İmar Planı Değişikliği